Schon lange hatte ich den Wunsch, wieder einmal nach Ägypten zu reisen und in die farbenfrohe Unterwasserwelt einzutauchen. Mein letzter Besuch lag über zehn Jahre zurück, und die Erinnerungen an die schillernden Fische und das lebendige Riff waren immer noch so präsent wie damals. Als sich dann die Gelegenheit bot, gemeinsam mit Claudia an den beliebten Line Dance Ferien in Ägypten teilzunehmen, war die Entscheidung schnell gefallen. Dieses Jahr war Line Dance Choreograf Niels Poulsen mit dabei – ein zusätzlicher Grund zur Vorfreude.
Mit etwas Glück ergatterten wir einen der letzten Plätze und starteten am 8. März 2025 mit einem Direktflug ab Zürich Richtung Hurghada. Spätabends erreichten wir unser Ziel und wurden mit dem Bus ins Makadi Spa an der Makadi Bay gebracht – Teil einer riesigen Hotelanlage, die gleich aus drei Resorts besteht. Nach einem Welcome-Drink bezogen wir unsere Suite und mussten schmunzeln: Eine Glasscheibe trennte das Zimmer vom Bad. Etwas viel Romantik für zwei Kolleginnen. Zum Glück hatte der Hausmeister Humor und hängte uns kurzerhand ein Bettlaken über das Glas.
Der nächste Morgen begann mit strahlendem Sonnenschein und der Aussicht auf eine ganze Woche Traumwetter – ungewöhnlich warm für die Jahreszeit. Nach dem Frühstück starteten die ersten Line Dance Workshops, und die hatten es in sich. Die Woche richtete sich an fortgeschrittene Tänzer*innen, und das Niveau war entsprechend hoch. Für mich ein Highlight: anspruchsvolle Tänze, motivierte Menschen und eine Energie, die sofort ansteckte.
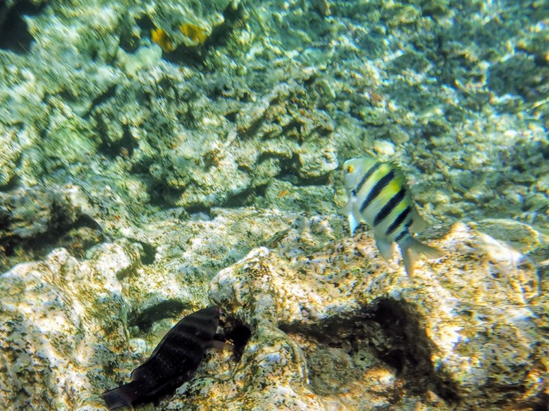
Etwas weniger erfreulich war die Teilnehmerzahl. Statt der angekündigten 100 Personen standen plötzlich 150 Tänzer*innen auf der Matte. Das machte die Abende eng und das Tanzen teilweise schwierig – schade, denn hier hätte der Veranstalter mehr Rücksicht zeigen dürfen. Trotzdem genossen wir die Tage in vollen Zügen: Workshops, Sonne, Strand, Meer und immer wieder kleine Pausen zum Durchatmen. Direkt vor dem Hotel lag ein grosses Riff, an dem sich unzählige bunte Fische tummelten. Ich war jeden Tag schnorcheln – dank Neoprenanzug und Maske bestens ausgerüstet, denn das Wasser hatte gerade mal 20 Grad.
Abends probierten wir uns durch die verschiedenen Restaurants der Anlage – All Inclusive kann richtig Spass machen, wenn das Essen gut ist und man immer jemanden trifft, mit dem man lachen, spielen oder einfach gemütlich essen kann.
Eine schöne Abwechslung war unser Ausflug zur Orange Bay. Eine künstlich angelegte Mini-Insel, die normalerweise von Touristen überrannt wird. Doch wir hatten Glück: Wir waren früh dort und hatten den Strand und das türkisblaue Wasser fast für uns allein. Die anschliessenden Schnorchelgänge waren wunderschön, auch wenn das Wasser irgendwann doch etwas frisch wurde.
Weniger schön: Rund die Hälfte der Teilnehmenden erwischte ein Virus mit heftigem Durchfall und Erbrechen. Claudia und ich blieben zum Glück verschont und waren beim grossen Grillbuffet am Strand am letzten Abend entsprechend vorsichtig. Wir liessen den Abend mit einer letzten Shisha und einer letzten Dance Night ausklingen – ein stimmungsvoller Abschluss einer intensiven Woche.
Am Morgen vom 15. März genossen wir noch einmal den Strand, bevor wir nach dem Mittag abgeholt und zum Flughafen gebracht wurden. Voller Eindrücke, voller Sonne und mit vielen neuen erlernten Tänzen im Gepäck ging es zurück nach Hause.
